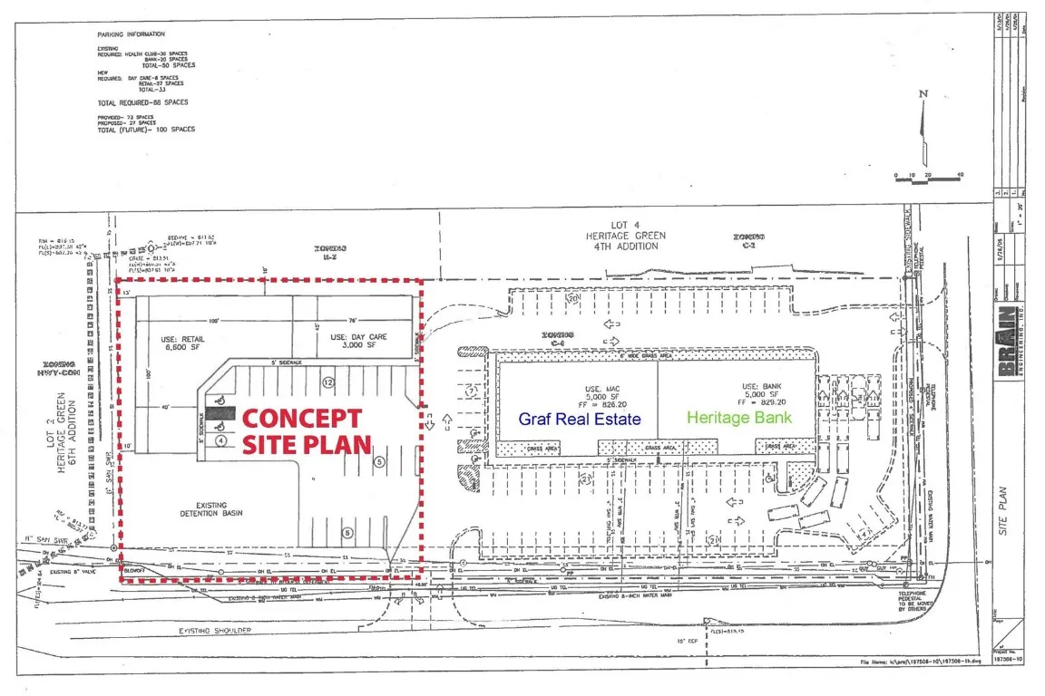
2252 Blairs Ferry Road, Hiawatha, Iowa 52233 - Farm For Sale
QR Code
Basic Details
Property Type:
Farm
Listing Type:
For Sale
Listing ID:
2404419
Price:
$299,500
Lot Area:
0.79 Acre
Property Sub Type:
Commercial
Features
Sewer
Public Sewer,
Utilities
Electricity Available, Natural Gas Available,
Address Map
Country:
US
State:
IA
County:
Linn
City:
Hiawatha
Zipcode:
52233
Street:
Blairs Ferry
Street Number:
2252
Longitude:
W92° 17' 45.3''
Latitude:
N42° 2' 22''
Directions:
NW Corner of Blairs Ferry Rd & Miller Rd, Located 0.2 miles west of Edgewood Rd and Blairs Ferry Rd intersection.
Mls Area Major:
Hiawatha/Robins
Agent Info
Sales Team
https://twenty40co.com
3194239515
(319) 423-95156407 Partners Ave, Marion, Iowa 52302