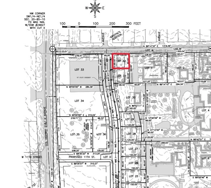
Lot 32 Mary Ingalls Subdivision, Vinton, Iowa 52349 - Farm For Sale
QR Code
Basic Details
Property Type:
Farm
Listing Type:
For Sale
Listing ID:
2602214
Price:
$29,000
Lot Area:
0.21 Acre
Property Sub Type:
Residential
Features
Sewer
Public Sewer,
Address Map
Country:
US
State:
IA
County:
Benton
City:
Vinton
Zipcode:
52349
Street:
Lot 32 Mary Ingalls Subdivision
Longitude:
W93° 58' 33.8''
Latitude:
N42° 10' 4.5''
Directions:
on the corner of 9th and J Avenue
Mls Area Major:
OT-W (West of I-380)
Neighborhood
Elementary School District:
Vinton/Shellsburg
High School:
Vinton/Shellsburg
High School District:
Vinton/Shellsburg
Middle Or Junior School District:
Vinton/Shellsburg
Middle School:
Vinton/Shellsburg
Agent Info
Sales Team
https://twenty40co.com
3194239515
(319) 423-95156407 Partners Ave, Marion, Iowa 52302