Location, Location, Location! High demand Stonebrook Development building lots with community at the heart. 79.41′ Curb width. Development sidewalks create walkability within the neighborhood and lead to the award-winning Washington elementary, Mt. Vernon middle and high school campus. Single family building lots with immediate possession. Larger lots up to .36 acre. You may select your builder, 1,350 square footage or more above grade ranch covenant, 1,700 square footage or more for a multi-level home to be built. Rolling grade offers flat, egress, or walk out home sites pending your floor plan elevation. This community offers community with Cornell College, main street cultural and dining popularity, close to the wellness center, and newly constructed HWY 30 and Bypass. Just North of HWY 1 lends traveling to Iowa City, the Solon corridor, Cedar Rapids, Marion all accessible in driving minutes. Offers may be subject to buyer final grade and completion approval. 8′ common walking trail is throughout the development offering connectivity and snow plowed by the city of Mt Vernon. Right of way at lot lines installed by builder at time of construction.
Lot 105 Stonebrook 7th Addition, Mt Vernon, Iowa 52314 - Farm For Sale
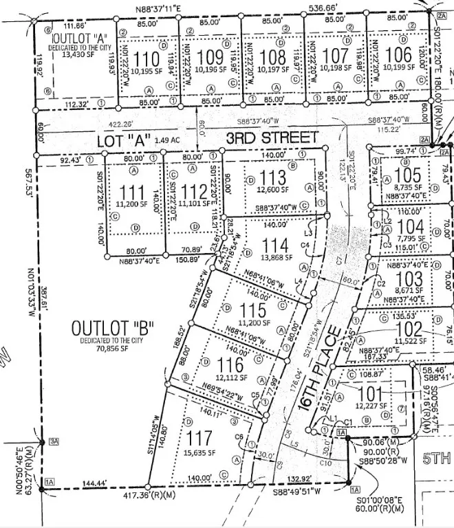
Lot 105 Stonebrook 7th Addition, Mt Vernon, Iowa 52314
 
									 
				- Sales Team
- View website
- 3194239515
- 
													sales@twenty40concepts.com 

 
                     
                     
                     
                     
                     
                     
                     
                     
                     
                     
                     
                     
                     
        